Real Estate Listings for Cocoa Beach, Satellite Beach and Brevard County, Florida

Alyssa Boyd

Greater Brevard Area, Waterfront Properties & Cocoa Beach

Contact Alyssa Boyd, Your Local Real Estate Broker: 321-591-7585

Search Properties

Property Search

Micco, Fl

Price: $59,000.00

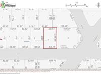
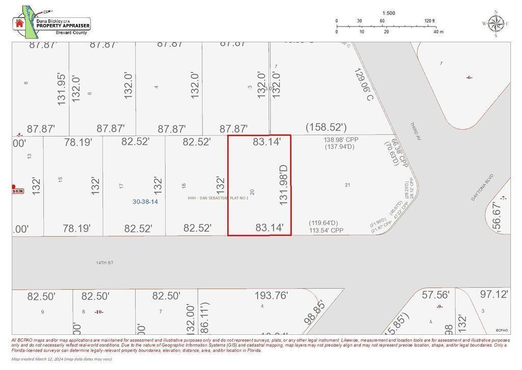
3892 14th Street

Micco, Fl 32976

0 Sq. Ft.

0.00 Bathrooms


VACANTLAND - MLS #1064048
Added on Thursday, December 11th, 2025 at 12:00am


About This Property:

Quarter acre Building Site in The San Sebastian area of Micco. Great site to build your new home. Many other nice homes in the area. No HOA.Close to Sebastian Florida, the Indian River and Sebastian Inlet. Utilities include City water service. Zoning is for Single Family home or Mobil Home. Most of the homes Built in the area are single family homes.

Subdivision

San Sebastian Plat No 1

Parking

Split Floorplan

Pool

Pool Description

Waterfront

No

Water Type

none

Construction

Floor

Exterior Finish

Roof Type

Fireplace

Furnishings

Home Warranty

Utilities

Appliances

County

Brevard

Gated Community

HOA

HOA Dues

$0.00

Tax Year

2025

Tax Amount

$502.57

55+ Community

Home View

Additional Rooms

Short Sale

Home Style

Interior Features

Exterior Features

Property Details - This listing is courtesy of RE/MAX Aerospace Realty.