Real Estate Listings for Cocoa Beach, Satellite Beach and Brevard County, Florida

Alyssa Boyd

Greater Brevard Area, Waterfront Properties & Cocoa Beach

Contact Alyssa Boyd, Your Local Real Estate Broker: 321-591-7585

Search Properties

Property Search

Rockledge, Fl

Price: $1,950.00

1027 Florida Avenue Unit #B

Rockledge, Fl 32955

0 Sq. Ft.

0.00 Bathrooms


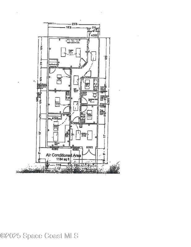
COMMERCIAL - MLS #1061831 - Built in 2000
Added on Tuesday, November 11th, 2025 at 12:00am


About This Property:

This medical office features two exam rooms and a spacious open procedure room. Previously used as an office for prosthetics and orthotics, it presents an excellent opportunity for new practitioners or as a convenient satellite office. The monthly rent is $1950, which includes CAM and water. Tenants are responsible for their own power expenses. Additionally, there's a private entrance from the rear and ample parking available.

Subdivision

Parking

Split Floorplan

Pool

Pool Description

Waterfront

No

Water Type

none

Construction

Floor

Exterior Finish

Roof Type

Fireplace

Furnishings

Home Warranty

Utilities

Appliances

County

Brevard

Gated Community

HOA

HOA Dues

$0.00

Tax Year

2022

Tax Amount

$14,067.20

55+ Community

Home View

Additional Rooms

Short Sale

Home Style

Interior Features

Exterior Features

Property Details - This listing is courtesy of Rahal Real Estate LLC.